The Metuchen-Edison Historical Society

Maps

Links to Historic Map Sites

Historicaerials.com   for old aerial photos of this area.

Sanborn Maps-Fire Insurance-Metuchen, Firestone Library Princeton University

1802 Road map of NJ, click on map #11

Rutgers' Special Collections Historical Maps of New Jersey

1781 Hills Map of New Jersey - excerpt of area around Metuchen

1850 Otley & Keily Map of NJ - excerpt of area around Metuchen

1850 Otley & Keily Map - entire map

1868 Map of Metuchen

1876 Dripps Map of Metuchen

1876 Felton Plan of Metuchen

1890 Eggert Hand-Drawn Map of Metuchen

1900 Metuchen Recorder Map

1909 Birds Eye Map of Metuchen


Miscellaneous Map Files

100

101

102

103

104

105

106

107

108

109      Revolutionary War GIS Map2/2021

110       Edison Master Plan Map 1966                                                  11/2020

111       Terminal Moraine South East of Plainfield  10/2020

112      Oak Tree Terrace 1921                                                                  3/2019

113      Oak Tree Park Development  1926                                               3/2019

114       Arrowhead Park Development Extension 1941                             3/2019

115       Arrowhead Park Development Extension 1952                              3/2019

116    Red Top Heights 1924                                                                        3/2019

117    1799 Metuching Map                                                                         3/2010

118     1799 Map                                                                                          3/2010

119     Burr 1839 Map      Malochin                                                              1/29/2011

120     Big Inch Pipeline Map                                                                       5/23/2011

121      Metuchen 1900 Map                                                                        5/25/2011

122      Map North of Metuchen 1950                                                          10/1/2011

123      Map of Radio District of Metuchen  Radio Associates                    11/17/2011

124      Edison Zoning Map 2004                                                                11/17/2011

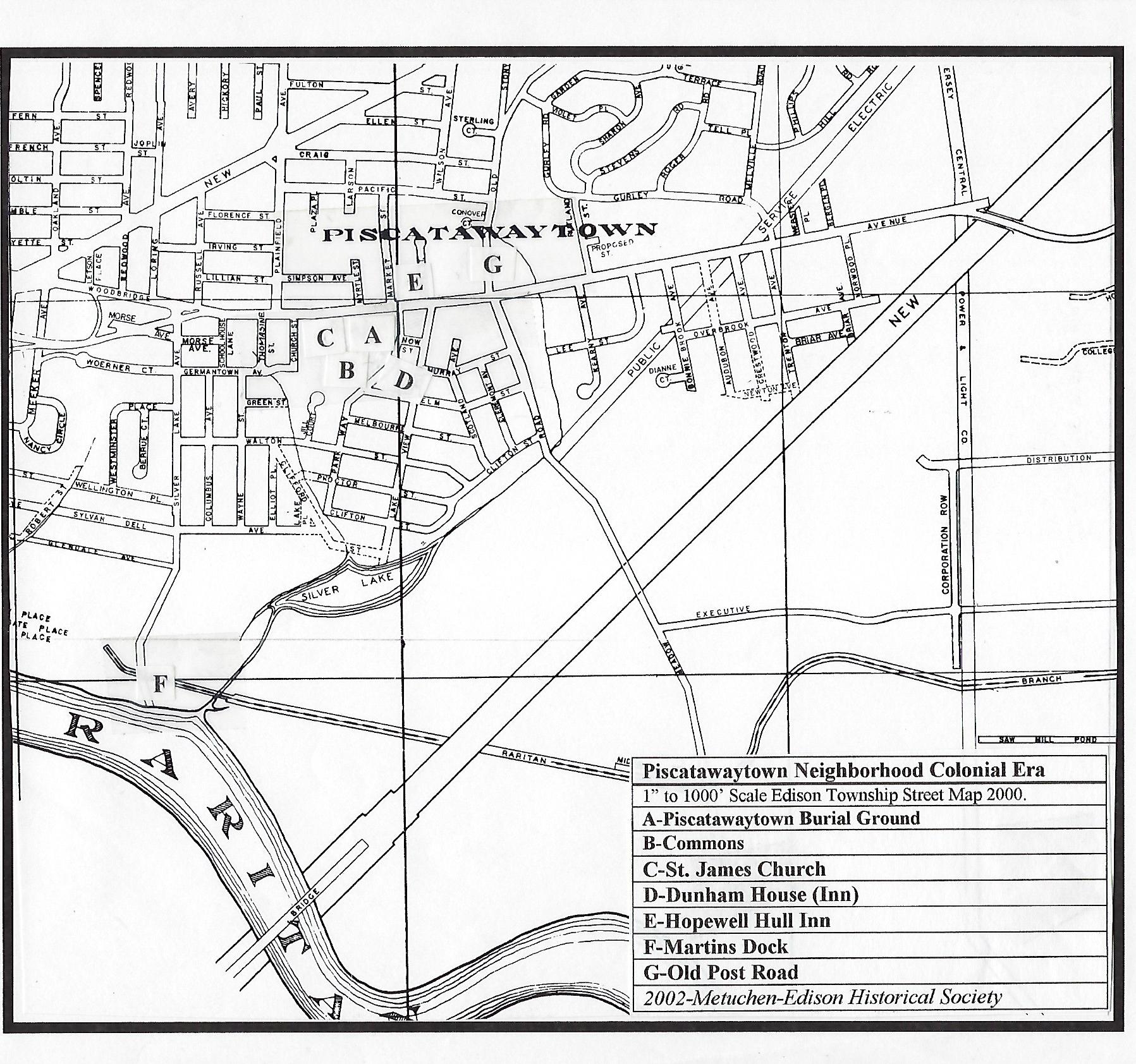
125      Piscatawaytown Neighborhood Colonial Era                                  9/2019

126     Piscatawaytown Grimstead hand drawn Colonial Era                     9/2019

 127    Edison Boundaries 1666-1870 Woodbridge, Piscataway                9/2019

128     Colonial Roads of Edison                                                                 9/2019

129     Native American Sites in Edison                                                      9/2019   

130     Cemeteries and Burial Grounds in Edison                                      9/2019  

131     Slavery Sites in Edison                                                                    9/2019

132     Map of Terminal Moraine south of Plainfield, 1900                         2/19/11

133     Middlesex County During the Revolution (1976)                            4/2020

134     Bonhamtown Map 1776-1777                                                        4/2020

135     Raritan Township Map 1954                                                           4/2020

136     Metuchen Tax Map    Key Map 2013                                              4/2020

137     Metuchen Tax Map 2013   4/2020

138     Metuchen  Tax Map 2013                                                                4/2020

139    Metuchen Tax Map 2013                                                                   4/2020

140     Metuchen Tax Map 2013                                                                 4/2020

141     Metuchen Tax Map 2013                                                                  4/2020